Lyssna

Nyhet / Publicerad 11 juni 2025

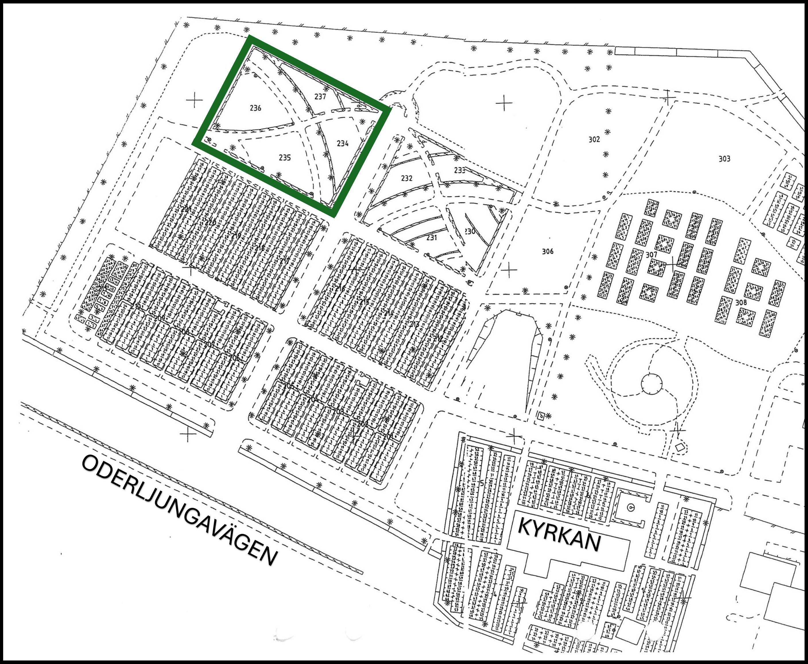
Ny gravplats

Förslag på muslimsk kravplats på Perstorps kyrkogård

Varje församling inom Svenska kyrkan ska enligt begravningslagen (1990:1144) tillhandahålla gravplatser för alla trosriktningar. Nu finns det ett förslag på en muslimsk gravplats som tagits fram för Perstorps kyrkogård.

Det fanns tidigare ett avtal med Hässleholms församling om att muslimer i Perstorp fick begravas på Hässleholms kyrkogård men avtalet avslutades under 2024.

Förslaget, som nu är framtaget, är i samråd med muslimska föreningen i Perstorp (Islamiska kultur Center i Perstorp) I nästa steg skall Länsstyrelsen godkänna gravplatsens utformning och när Länsstyrelsen gett sitt godkännande kan arbetet påbörjas.

Vår förhoppning är att begravningsplatsen ska vara färdigställd under 2025.

Peter Åhlén, Kyrkogårdschef